Columbia Valley banner illustration

Area

Columbia Valley

32/100 candidates21 MLS aerial/elevated0 ArcGIS overhead1 Bing overhead1 Mapbox overhead9 possible elevated
#1

1018 SWANSEA Road

List ID 10667320 · Columbia Valley · score 126

MLS aerial/elevated
Best candidate #11018 SWANSEA Road best candidate #1
Best photo indices1,4,5,7,8,9,10,11
Coveragelikely_house_and_backyard_elevated_context
Coordinate confidencelisting
ArcGIS real / placeholder0 / 9
Bing overhead
Bing best tile
Mapbox overhead
Mapbox best tile

Vision batch 002: print_mockup_potential=low; best_candidate_tile=none; Map data not available; no imagery to evaluate.; Goal review: multiple aerial/top-down/oblique views show house with driveway, patio, surrounding yard/lot and site context. Strong match for house plus backyard/lot together.

#2

2510 COBBLESTONE Trail

List ID 10680589 · Columbia Valley · score 126

MLS aerial/elevated
Best candidate #12510 COBBLESTONE Trail best candidate #1
Best photo indices1,2,3,4,8,9
Coveragelikely_house_and_backyard_elevated_context
Coordinate confidencelisting
ArcGIS real / placeholder0 / 9
Bing overhead
Bing best tile
Mapbox overhead
Mapbox best tile

Vision batch 003: print_mockup_potential=low; best_candidate_tile=none; All aerial tiles show 'Map data not yet available'; no property features visible.; Strong winter exterior plus elevated/drone-style views of home/setting and nearby landscape.

#3

2543 LEDGEROCK Ridge

List ID 10684446 · Columbia Valley · score 126

MLS aerial/elevated
Best candidate #12543 LEDGEROCK Ridge best candidate #1
Best photo indices1,3,26,27,29,30
Coveragelikely_house_and_backyard_elevated_context
Coordinate confidencelisting
ArcGIS real / placeholder0 / 9
Bing overhead
Bing best tile
Mapbox overhead
Mapbox best tile

Automated placeholder detection: all aerial tiles appear to be Esri no-imagery placeholders; use MLS/contact-sheet path instead.; Exterior, patio, and scenic mountain/view shots; photo 3 appears to be elevated drone/aerial-style.

#4

4576 COLUMERE Road

List ID 10673047 · Columbia Valley · score 126

MLS aerial/elevated
Best candidate #14576 COLUMERE Road best candidate #1
Best photo indices1,2,3,4,5,6,7,9,10
Coveragelikely_house_and_backyard_elevated_context
Coordinate confidencelisting
ArcGIS real / placeholder0 / 9
Bing overhead
Bing best tile
Mapbox overhead
Mapbox best tile

Automated placeholder detection: all aerial tiles appear to be Esri no-imagery placeholders; use MLS/contact-sheet path instead.; Strong exterior/yard/deck set with lake/mountain aerial-style context; hot tub visible on deck/patio. Needs human verification before relying on it.

#5

4824 MCKAY Street

List ID 20046407 · Columbia Valley · score 126

MLS aerial/elevated
Best candidate #54824 MCKAY Street best candidate #5
Best photo indices5,3,4
Coveragelikely_house_and_backyard_elevated_context
Coordinate confidencelisting
ArcGIS real / placeholder0 / 9
Bing overhead
Bing best tile
Mapbox overhead
Mapbox best tile

Automated placeholder detection: all aerial tiles appear to be Esri no-imagery placeholders; use MLS/contact-sheet path instead.; Goal review: photo 5 is a strong vertical/top-down aerial of house and lot; photos 3-4 add rear/yard ground context. Photos 6-8 are broader scenic/context aerials.

#6

4874 RIDGE Crescent

List ID 10665854 · Columbia Valley · score 126

MLS aerial/elevated
Best candidate #64874 RIDGE Crescent best candidate #6
Best photo indices6,4,5
Coveragelikely_house_and_backyard_elevated_context
Coordinate confidencelisting
ArcGIS real / placeholder0 / 9
Bing overhead
Bing best tile
Mapbox overhead
Mapbox best tile

Automated placeholder detection: all aerial tiles appear to be Esri no-imagery placeholders; use MLS/contact-sheet path instead.; Goal review: strong drone/elevated coverage. Photo 6 is best top-down/near-overhead showing house, patio/backyard and treed lot context; photo 4 also shows house/yard; photo 5 gives wider setting.

#7

4891 Glen Eagle Drive

List ID 20059692 · Columbia Valley · score 126

MLS aerial/elevated
Best candidate #14891 Glen Eagle Drive best candidate #1
Best photo indices1,4,5,23
Coveragelikely_house_and_backyard_elevated_context
Coordinate confidencelisting
ArcGIS real / placeholder0 / 9
Bing overhead
Bing best tile
Mapbox overhead
Mapbox best tile

Automated placeholder detection: all aerial tiles appear to be Esri no-imagery placeholders; use MLS/contact-sheet path instead.; Clear drone/aerial mountain/neighborhood view plus patio/covered outdoor sitting area.

#8

4992 MOUNTAIN VIEW Drive

List ID 20026072 · Columbia Valley · score 126

MLS aerial/elevated
Best candidate #14992 MOUNTAIN VIEW Drive best candidate #1
Best photo indices1,17,18,19
Coveragelikely_house_and_backyard_elevated_context
Coordinate confidencelisting
ArcGIS real / placeholder0 / 9
Bing overhead
Bing best tile
Mapbox overhead
Mapbox best tile

Automated placeholder detection: all aerial tiles appear to be Esri no-imagery placeholders; use MLS/contact-sheet path instead.; Aerial/property overview plus deck/patio outdoor living views; no clear pool or hot tub.

#9

5138 RIVERVIEW Crescent

List ID 10683660 · Columbia Valley · score 126

MLS aerial/elevated
Best candidate #275138 RIVERVIEW Crescent best candidate #27
Best photo indices27,29,1,2
Coveragelikely_house_and_backyard_elevated_context
Coordinate confidencelisting
ArcGIS real / placeholder0 / 9
Bing overhead
Bing best tile
Mapbox overhead
Mapbox best tile

Automated placeholder detection: all aerial tiles appear to be Esri no-imagery placeholders; use MLS/contact-sheet path instead.; Goal review: photos 27 and 29 are the strongest elevated/yard-context views with rear/side house plus landscaped lot/backyard visible. Photos 1-2 add front exterior context but are not aerial.

#10

946 RIDGE Place

List ID 10665224 · Columbia Valley · score 126

MLS aerial/elevated
Best candidate #3946 RIDGE Place best candidate #3
Best photo indices3,12,2
Coveragelikely_house_and_backyard_elevated_context
Coordinate confidencelisting
ArcGIS real / placeholder0 / 9
Bing overhead
Bing best tile
Mapbox overhead
Mapbox best tile

Automated placeholder detection: all aerial tiles appear to be Esri no-imagery placeholders; use MLS/contact-sheet path instead.; Goal review: strong aerial/elevated coverage. Photo 3 is top-down/near-top-down lot view; photo 12 is oblique elevated view showing house within treed lot; photo 2 gives broader elevated context with property marker.

#11

960 COPPER POINT Way

List ID 20038863 · Columbia Valley · score 126

MLS aerial/elevated
Best candidate #7960 COPPER POINT Way best candidate #7
Best photo indices7,6,3,5,1
Coveragelikely_house_and_backyard_elevated_context
Coordinate confidencelisting
ArcGIS real / placeholder0 / 9
Bing overhead
Bing best tile
Mapbox overhead
Mapbox best tile

Automated placeholder detection: all aerial tiles appear to be Esri no-imagery placeholders; use MLS/contact-sheet path instead.; Clear true aerial/drone neighborhood and mountain views; exterior/front outdoor shots also present.

#12

13-640 UPPER LAKEVIEW Road

List ID 20021647 · Columbia Valley · score 122

MLS aerial/elevated
Best candidate #613-640 UPPER LAKEVIEW Road best candidate #6
Best photo indices6,3
Coveragelikely_house_and_backyard_elevated_context
Coordinate confidencelisting
ArcGIS real / placeholder0 / 9
Bing overhead
Bing best tile
Mapbox overhead
Mapbox best tile

Vision batch 003: print_mockup_potential=low; best_candidate_tile=none; All aerial tiles show 'Map data not yet available'; no property features visible.; Goal review: photos 6 and 3 are elevated/drone-like and show the house with surrounding lot context; backyard/lot coverage is decent but not fully top-down.

#13

1325 12 Avenue

List ID 20049552 · Columbia Valley · score 122

MLS aerial/elevated
Best candidate #111325 12 Avenue best candidate #11
Best photo indices11,12,19,20
Coveragelikely_house_and_backyard_elevated_context
Coordinate confidencelisting
ArcGIS real / placeholder0 / 9
Bing overhead
Bing best tile
Mapbox overhead
Mapbox best tile

Vision batch 003: print_mockup_potential=low; best_candidate_tile=none; All aerial tiles show 'Map data not yet available'; no property features visible.; Goal review: no true drone/top-down visible, but elevated/yard-view photos show house portions, backyard/lot, and surrounding setting together.

#14

1502 PINERIDGE MOUNTAIN Place

List ID 10647009 · Columbia Valley · score 122

MLS aerial/elevated
Best candidate #31502 PINERIDGE MOUNTAIN Place best candidate #3
Best photo indices3,4,9,10,12,13
Coveragelikely_house_and_backyard_elevated_context
Coordinate confidencelisting
ArcGIS real / placeholder0 / 9
Bing overhead
Bing best tile
Mapbox overhead
Mapbox best tile

Vision batch 003: print_mockup_potential=low; best_candidate_tile=none; All aerial tiles show 'Map data not yet available'; no property features visible.; Goal review: good elevated/ground exterior views of rear facade, lawn, and surrounding treed lot; no true top-down aerial.

#15

5221 Columbia River Road

List ID 20061096 · Columbia Valley · score 122

MLS aerial/elevated
Best candidate #15221 Columbia River Road best candidate #1
Best photo indices1,20,21
Coveragelikely_house_and_backyard_elevated_context
Coordinate confidencelisting
ArcGIS real / placeholder0 / 9
Bing overhead
Bing best tile
Mapbox overhead
Mapbox best tile

Automated placeholder detection: all aerial tiles appear to be Esri no-imagery placeholders; use MLS/contact-sheet path instead.; Goal review: photo 1 is a useful aerial/overhead view of house within wooded lot, though partially obscured by trees; deck/yard views add context.

#16

6949 COLUMBIA RIDGE Drive

List ID 10647683 · Columbia Valley · score 122

MLS aerial/elevated
Best candidate #16949 COLUMBIA RIDGE Drive best candidate #1
Best photo indices1,3,12,13,8,10
Coveragelikely_house_and_backyard_elevated_context
Coordinate confidencelisting
ArcGIS real / placeholder0 / 9
Bing overhead
Bing best tile
Mapbox overhead
Mapbox best tile

Automated placeholder detection: all aerial tiles appear to be Esri no-imagery placeholders; use MLS/contact-sheet path instead.; Goal review: no true aerial, but several elevated/ground exterior views show house with broad yard/lot and surrounding landscape; photos 1 and 3 are strongest house-plus-lot views.

#17

781 WESTRIDGE Drive

List ID 20021336 · Columbia Valley · score 122

MLS aerial/elevated
Best candidate #11781 WESTRIDGE Drive best candidate #11
Best photo indices11,1,2
Coveragelikely_house_and_backyard_elevated_context
Coordinate confidencelisting
ArcGIS real / placeholder0 / 9
Bing overhead
Bing best tile
Mapbox overhead
Mapbox best tile

Automated placeholder detection: all aerial tiles appear to be Esri no-imagery placeholders; use MLS/contact-sheet path instead.; Goal review: photo 11 is the clearest top-down/aerial-like view showing roof/lot context; photos 1-2 are elevated oblique exterior views with some surrounding lot but limited backyard detail.

#18

8042 MCINTOSH LOOP Road

List ID 10670913 · Columbia Valley · score 122

MLS aerial/elevated
Best candidate #48042 MCINTOSH LOOP Road best candidate #4
Best photo indices4,5,14,16
Coveragelikely_house_and_backyard_elevated_context
Coordinate confidencelisting
ArcGIS real / placeholder0 / 9
Bing overhead
Bing best tile
Mapbox overhead
Mapbox best tile

Automated placeholder detection: all aerial tiles appear to be Esri no-imagery placeholders; use MLS/contact-sheet path instead.; Goal review: photo 4 appears to be an aerial/top-down view showing house/drive and surrounding wooded lot. Yard/garden ground shots add backyard context.

#19

815 LAKEVIEW MEADOWS GREEN

List ID 10646987 · Columbia Valley · score 122

MLS aerial/elevated
Best candidate #4815 LAKEVIEW MEADOWS GREEN best candidate #4
Best photo indices4,5,20
Coveragelikely_house_and_backyard_elevated_context
Coordinate confidencelisting
ArcGIS real / placeholder0 / 9
Bing overhead
Bing best tile
Mapbox overhead
Mapbox best tile

Automated placeholder detection: all aerial tiles appear to be Esri no-imagery placeholders; use MLS/contact-sheet path instead.; Goal review: rear/elevated exterior and yard/deck views show house with landscaped backyard area; no top-down aerial.

#20

850 LAKEVIEW MEADOWS Road

List ID 10654610 · Columbia Valley · score 122

MLS aerial/elevated
Best candidate #3850 LAKEVIEW MEADOWS Road best candidate #3
Best photo indices3,4,1,2
Coveragelikely_house_and_backyard_elevated_context
Coordinate confidencelisting
ArcGIS real / placeholder0 / 9
Bing overhead
Bing best tile
Mapbox overhead
Mapbox best tile

Automated placeholder detection: all aerial tiles appear to be Esri no-imagery placeholders; use MLS/contact-sheet path instead.; Goal review: no true top-down aerial visible, but photos 3 and 4 show rear/exterior with yard/trees and house together; photos 1/2 are useful front/lot context.

#21

959 COPPER POINT Way

List ID 20050440 · Columbia Valley · score 122

MLS aerial/elevated
Best candidate #7959 COPPER POINT Way best candidate #7
Best photo indices7,6,3,5
Coveragelikely_house_and_backyard_elevated_context
Coordinate confidencelisting
ArcGIS real / placeholder0 / 9
Bing overhead
Bing best tile
Mapbox overhead
Mapbox best tile

Automated placeholder detection: all aerial tiles appear to be Esri no-imagery placeholders; use MLS/contact-sheet path instead.; Goal review: photos 6-7 provide top-down backyard/lot details but only partial house context; photo 3 is elevated front/setting view. Photo 5 supports rear/yard relationship from ground level.

#22

3415 CROOKED TREE Place

List ID 10672915 · Columbia Valley · score 78

Bing overhead
Best candidate Bing3415 CROOKED TREE Place best candidate Bing
Best photo indices1,2,3,4,5,6,7,8,9,10,11,12,13
Coveragelikely_house_and_backyard_bing_overhead
Coordinate confidencelisting
ArcGIS real / placeholder0 / 9
Bing overheadyes · medium
Bing best tilemiddle-left
Mapbox overhead
Mapbox best tile

Automated placeholder detection: all aerial tiles appear to be Esri no-imagery placeholders; use MLS/contact-sheet path instead.; Extensive ground-level exterior, yard, driveway, deck, and mountain/setting views; no definite drone; no pool/hot tub.; Middle-left tile provides the clearest view of a house/structure with surrounding open lot; center tile mostly shows driveway/clearing.

#23

958 COPPER POINT Way

List ID 10683812 · Columbia Valley · score 74

Mapbox overhead
Best candidate Mapbox958 COPPER POINT Way best candidate Mapbox
Best photo indices4,5,6,7,14,15,16,23,24
Coveragelikely_house_and_backyard_mapbox_overhead
Coordinate confidencelisting
ArcGIS real / placeholder0 / 9
Bing overhead
Bing best tile
Mapbox overheadyes · medium
Mapbox best tilecenter

Automated placeholder detection: all aerial tiles appear to be Esri no-imagery placeholders; use MLS/contact-sheet path instead.; Many deck, yard, patio, and view photos; no confirmed aerial or hot tub/pool.; Center/red tile shows the house area with adjacent driveway/lot, though imagery is blurry and partly obscured by trees.

#24

1059 SWANSEA Road

List ID 10658844 · Columbia Valley · score 37

Possible elevated
Best candidate #11059 SWANSEA Road best candidate #1
Best photo indices1,2,17,16
Coveragepossible_elevated_context_needs_verify
Coordinate confidencelisting
ArcGIS real / placeholder0 / 9
Bing overhead
Bing best tile
Mapbox overhead
Mapbox best tile

Vision batch 003: print_mockup_potential=low; best_candidate_tile=none; All aerial tiles show 'Map data not yet available'; no property features visible.; Goal review: no true aerial; photo 17 is elevated balcony/view over lot/scenery, while photos 1/2 provide ground-level house and surrounding lot context.

#25

137 12A Avenue

List ID 20026178 · Columbia Valley · score 37

Possible elevated
Best candidate #5137 12A Avenue best candidate #5
Best photo indices5,1,7,8,29,30
Coveragepossible_elevated_context_needs_verify
Coordinate confidencelisting
ArcGIS real / placeholder0 / 9
Bing overhead
Bing best tile
Mapbox overhead
Mapbox best tile

Vision batch 003: print_mockup_potential=low; best_candidate_tile=none; All aerial tiles show 'Map data not yet available'; no property features visible.; Goal review: photo 5 is an aerial neighborhood/locator view, but thumbnail detail is insufficient to confirm house plus backyard/lot coverage. Photo 1 is a strong ground-level house-and-yard view; 7-8 and 29-30 add lot/backyard context but are not aerial.

#26

1825 TAYNTON Road

List ID 10676060 · Columbia Valley · score 37

Possible elevated
Best candidate #11825 TAYNTON Road best candidate #1
Best photo indices1,4,5,3,2
Coveragepossible_elevated_context_needs_verify
Coordinate confidencelisting
ArcGIS real / placeholder0 / 9
Bing overhead
Bing best tile
Mapbox overhead
Mapbox best tile

Vision batch 003: print_mockup_potential=low; best_candidate_tile=none; All aerial tiles show 'Map data not yet available'; no property features visible.; Goal review: photo 1 appears elevated/aerial but the specific house/lot is not clearly identifiable in the thumbnail. Photos 4/5 are best ground-level exterior views showing house with treed lot context.

#27

4476 COLUMBIA VIEW Road

List ID 10682429 · Columbia Valley · score 37

Possible elevated
Best candidate #74476 COLUMBIA VIEW Road best candidate #7
Best photo indices7,2,3,8,12
Coveragepossible_elevated_context_needs_verify
Coordinate confidencelisting
ArcGIS real / placeholder0 / 9
Bing overhead
Bing best tile
Mapbox overhead
Mapbox best tile

Automated placeholder detection: all aerial tiles appear to be Esri no-imagery placeholders; use MLS/contact-sheet path instead.; Goal review: photo 7 is an elevated/aerial-style neighborhood/waterfront context image but the subject house/backyard is not clearly identifiable. Best property lot context is mostly ground-level exterior/yard shots.

#28

4585 COLUMERE Road

List ID 20021525 · Columbia Valley · score 37

Possible elevated
Best candidate #24585 COLUMERE Road best candidate #2
Best photo indices2,4,5,7,25
Coveragepossible_elevated_context_needs_verify
Coordinate confidencelisting
ArcGIS real / placeholder0 / 9
Bing overhead
Bing best tile
Mapbox overhead
Mapbox best tile

Automated placeholder detection: all aerial tiles appear to be Esri no-imagery placeholders; use MLS/contact-sheet path instead.; Goal review: no true aerial. Several ground-level rear/yard views show house with backyard/deck; photo 25 appears elevated from deck/balcony over yard but does not clearly show whole house and lot together.

#29

4942 MOUNTAIN HILL Road

List ID 10660433 · Columbia Valley · score 37

Possible elevated
Best candidate #14942 MOUNTAIN HILL Road best candidate #1
Best photo indices1,4,5,3
Coveragepossible_elevated_context_needs_verify
Coordinate confidencelisting
ArcGIS real / placeholder0 / 9
Bing overhead
Bing best tile
Mapbox overhead
Mapbox best tile

Automated placeholder detection: all aerial tiles appear to be Esri no-imagery placeholders; use MLS/contact-sheet path instead.; Goal review: photo 3 is elevated deck/view and photo 2 may be elevated/driveway view, but house+backyard together is mainly ground-level exterior/landscape context.

#30

402 WESTRIDGE View

List ID 10650499 · Columbia Valley · score 33

Possible elevated
Best candidate #2402 WESTRIDGE View best candidate #2
Best photo indices2,20,22,26
Coveragepossible_elevated_context_needs_verify
Coordinate confidencelisting
ArcGIS real / placeholder0 / 9
Bing overhead
Bing best tile
Mapbox overhead
Mapbox best tile

Automated placeholder detection: all aerial tiles appear to be Esri no-imagery placeholders; use MLS/contact-sheet path instead.; Goal review: ground/elevated exterior and patio/yard views; no clear top-down aerial showing house and backyard/lot together.

#31

7549 SPRINGS Terrace

List ID 10638399 · Columbia Valley · score 33

Possible elevated
Best candidate #17549 SPRINGS Terrace best candidate #1
Best photo indices1,2,5,6,24
Coveragepossible_elevated_context_needs_verify
Coordinate confidencelisting
ArcGIS real / placeholder0 / 9
Bing overhead
Bing best tile
Mapbox overhead
Mapbox best tile

Automated placeholder detection: all aerial tiles appear to be Esri no-imagery placeholders; use MLS/contact-sheet path instead.; Goal review: no top-down aerial; photos 1/2/24 show exterior and lot frontage, while photos 5/6 show rear/patio outlook, but house and backyard together are not well captured.

#32

823 LAKEVIEW MEADOWS GREEN

List ID 10639146 · Columbia Valley · score 33

Possible elevated
Best candidate #1823 LAKEVIEW MEADOWS GREEN best candidate #1
Best photo indices1,12
Coveragepossible_elevated_context_needs_verify
Coordinate confidencelisting
ArcGIS real / placeholder0 / 9
Bing overhead
Bing best tile
Mapbox overhead
Mapbox best tile

Automated placeholder detection: all aerial tiles appear to be Esri no-imagery placeholders; use MLS/contact-sheet path instead.; Goal review: exterior/yard views show landscaping and some lot context, but no clear aerial/top-down and limited house+backyard combined coverage.

All addresses

Columbia Valley

100 total properties
AddressStatusBest photosMLS reviewedArcGIS tilesBingMapboxCoordinate
1018 SWANSEA Road10667320MLS aerial/elevated1,4,5,7,8,9,10,11yes0 / 9listing
2510 COBBLESTONE Trail10680589MLS aerial/elevated1,2,3,4,8,9yes0 / 9listing
2543 LEDGEROCK Ridge10684446MLS aerial/elevated1,3,26,27,29,30yes0 / 9listing
4576 COLUMERE Road10673047MLS aerial/elevated1,2,3,4,5,6,7,9,10yes0 / 9listing
4824 MCKAY Street20046407MLS aerial/elevated5,3,4yes0 / 9listing
4874 RIDGE Crescent10665854MLS aerial/elevated6,4,5yes0 / 9listing
4891 Glen Eagle Drive20059692MLS aerial/elevated1,4,5,23yes0 / 9listing
4992 MOUNTAIN VIEW Drive20026072MLS aerial/elevated1,17,18,19yes0 / 9listing
5138 RIVERVIEW Crescent10683660MLS aerial/elevated27,29,1,2yes0 / 9listing
946 RIDGE Place10665224MLS aerial/elevated3,12,2yes0 / 9listing
960 COPPER POINT Way20038863MLS aerial/elevated7,6,3,5,1yes0 / 9listing
13-640 UPPER LAKEVIEW Road20021647MLS aerial/elevated6,3yes0 / 9listing
1325 12 Avenue20049552MLS aerial/elevated11,12,19,20yes0 / 9listing
1502 PINERIDGE MOUNTAIN Place10647009MLS aerial/elevated3,4,9,10,12,13yes0 / 9listing
5221 Columbia River Road20061096MLS aerial/elevated1,20,21yes0 / 9listing
6949 COLUMBIA RIDGE Drive10647683MLS aerial/elevated1,3,12,13,8,10yes0 / 9listing
781 WESTRIDGE Drive20021336MLS aerial/elevated11,1,2yes0 / 9listing
8042 MCINTOSH LOOP Road10670913MLS aerial/elevated4,5,14,16yes0 / 9listing
815 LAKEVIEW MEADOWS GREEN10646987MLS aerial/elevated4,5,20yes0 / 9listing
850 LAKEVIEW MEADOWS Road10654610MLS aerial/elevated3,4,1,2yes0 / 9listing
959 COPPER POINT Way20050440MLS aerial/elevated7,6,3,5yes0 / 9listing
3415 CROOKED TREE Place10672915Bing overhead1,2,3,4,5,6,7,8,9,10,11,12,13no0 / 9yeslisting
958 COPPER POINT Way10683812Mapbox overhead4,5,6,7,14,15,16,23,24no0 / 9yeslisting
1059 SWANSEA Road10658844Possible elevated1,2,17,16unclear0 / 9listing
137 12A Avenue20026178Possible elevated5,1,7,8,29,30unclear0 / 9listing
1825 TAYNTON Road10676060Possible elevated1,4,5,3,2unclear0 / 9listing
4476 COLUMBIA VIEW Road10682429Possible elevated7,2,3,8,12unclear0 / 9listing
4585 COLUMERE Road20021525Possible elevated2,4,5,7,25unclear0 / 9listing
4942 MOUNTAIN HILL Road10660433Possible elevated1,4,5,3unclear0 / 9listing
402 WESTRIDGE View10650499Possible elevated2,20,22,26unclear0 / 9listing
7549 SPRINGS Terrace10638399Possible elevated1,2,5,6,24unclear0 / 9listing
823 LAKEVIEW MEADOWS GREEN10639146Possible elevated1,12unclear0 / 9listing
1101 6TH Street10675551Ground context only28,29,30,14,15no0 / 9nolisting
1440 CANTERBURY Close10683098Ground context only10,8,9,12,11no0 / 9nolisting
2537 LEDGEROCK Ridge10677502Ground context only1,18,22,23,24no0 / 9listing
2589 LEDGEROCK Court10660407ArcGIS overhead unavailable3,4,1,2no0 / 9listing
4690 NORTH Street10671043ArcGIS overhead unavailable1,2,3no0 / 9listing
1122 HILLTOP Road10657869Ground context only1no0 / 9listing
1509 10th Avenue20049602Ground context only1,14,26no0 / 9listing
2572 LEDGEROCK Ridge10669410ArcGIS overhead unavailable1,2,3,15,16no0 / 9listing
2577 SANDSTONE Circle10672111ArcGIS overhead unavailable4,6,9no0 / 9listing
2580 SANDSTONE View10680456ArcGIS overhead unavailable7,1,3,6,8no0 / 9listing
2588 LEDGEROCK Ridge10671250ArcGIS overhead unavailable1,2,3,4no0 / 9listing
4573 Columere Road20076380ArcGIS overhead unavailable2,12,16,1no0 / 9listing
4642 ROWAN Street10659027ArcGIS overhead unavailable1,2,5,6no0 / 9listing
4806 HOLLAND CREEK RIDGE Road10644065ArcGIS overhead unavailable1no0 / 9listing
4885 Carnoustie Place20084577ArcGIS overhead unavailable1,18no0 / 9listing
4949 MOUNTAIN HILL Road10673650ArcGIS overhead unavailable1,2,3no0 / 9listing
5132 Riverview Crescent20080295ArcGIS overhead unavailable23,24,25,26,1no0 / 9listing
5938 COLUMBIA LAKE Road10660875ArcGIS overhead unavailable5,6,1no0 / 9listing
6894 COLUMBIA RIDGE Drive10672919ArcGIS overhead unavailable1,2,3,4,5no0 / 9listing
7043 ELK RIDGE Road10669795ArcGIS overhead unavailable1no0 / 9listing
7503 SUN VALLEY Place10662424ArcGIS overhead unavailable1,2,3,16no0 / 9listing
799 LAKEVIEW MEADOWS Point10645721ArcGIS overhead unavailable5,6,7,8no0 / 9listing
8414 RICHARDSON Crescent10673624ArcGIS overhead unavailable1,2,3no0 / 9listing
961 COPPER POINT Way10685328ArcGIS overhead unavailable1,2no0 / 9listing
1 BIGHORN SHEEP Lane10574816Needs aerial reviewNo0 / 9listing
1007 4TH Avenue10563296Needs aerial reviewNo0 / 9listing
1453 STODDART Avenue10589073Needs aerial reviewNo0 / 9listing
1513 LAKEVIEW Lane10573769Needs aerial reviewNo0 / 9listing
1715 3RD Avenue10685465Needs aerial reviewNo0 / 9listing
1745 SWANSEA Avenue10675078Needs aerial reviewNo0 / 9listing
1753 2ND Avenue10521676Needs aerial reviewNo0 / 9listing
1921 PINERIDGE MOUNTAIN Trail20020845Needs aerial reviewNo0 / 9listing
1973 GREYWOLF Drive10650416Needs aerial reviewNo0 / 9listing
2527 LEDGEROCK Ridge10631447Needs aerial reviewNo0 / 9listing
31 - 640 Upper Lakeview Road20051381ArcGIS overhead unavailableNo0 / 9listing
368 PANORAMA Place10619308ArcGIS overhead unavailableNo0 / 9listing
4552 COLUMBIA VIEW Road10572288ArcGIS overhead unavailableNo0 / 9listing
4582 COLUMBIA VIEW Road10592929ArcGIS overhead unavailableNo0 / 9listing
4642 ROWAN Street10590002ArcGIS overhead unavailableNo0 / 9listing
4671 POPLAR Street10680461ArcGIS overhead unavailableNo0 / 9listing
4764 TIMBER RIDGE Road10607338ArcGIS overhead unavailableNo0 / 9listing
4808 LAKEHILL Road10631280ArcGIS overhead unavailableNo0 / 9listing
4815 HOLLAND CREEK RIDGE Road10629099ArcGIS overhead unavailableNo0 / 9listing
4816 RIDGE Drive10662523ArcGIS overhead unavailableNo0 / 9listing
4859 HOLLAND CK RIDGE Road10565896ArcGIS overhead unavailableNo0 / 9point
4905 LAKEVIEW MEADOWS Close10587559ArcGIS overhead unavailableNo0 / 9listing
4927 LAKEVIEW MEADOWS Close10569690ArcGIS overhead unavailableNo0 / 9point
4931 MOUNTAIN VIEW Drive10666174ArcGIS overhead unavailableNo0 / 9listing
4958 MERLO Road10680493ArcGIS overhead unavailableNo0 / 9listing
4985 MOUNTAIN TOP Drive10673667ArcGIS overhead unavailableNo0 / 9listing
5009 FAIRWAY Drive10573050ArcGIS overhead unavailableNo0 / 9listing
5025 RIVERVIEW Road10682769ArcGIS overhead unavailableNo0 / 9listing
515 LAKEVIEW Place10523709ArcGIS overhead unavailableNo0 / 9listing
5151 RIVERVIEW Road10677817ArcGIS overhead unavailableNo0 / 9listing
5156 RIVERVIEW Crescent10570990ArcGIS overhead unavailableNo0 / 9listing
5160 RIVERSIDE Drive10623245ArcGIS overhead unavailableNo0 / 9listing
6925 COLUMBIA RIDGE Drive10672747ArcGIS overhead unavailableNo0 / 9listing
6948 COLUMBIA RIDGE Drive10675110ArcGIS overhead unavailableNo0 / 9listing
7-640 UPPER LAKEVIEW Road20057362ArcGIS overhead unavailableno0 / 9listing
815 LAKEVIEW MEADOWS GREEN10665254ArcGIS overhead unavailableNo0 / 9listing
885 COPPERVIEW Close10588693ArcGIS overhead unavailableNo0 / 9listing
890 COPPERPOINT Way10684558ArcGIS overhead unavailableNo0 / 9listing
896 Copper Point Way20087320ArcGIS overhead unavailableNo0 / 9listing
930 COPPER POINT Way20040895ArcGIS overhead unavailableNo0 / 9listing
964 LAKEVIEW MEADOWS GLEN10613313ArcGIS overhead unavailableNo0 / 9listing
974 SWANSEA VIEW Road20071157ArcGIS overhead unavailableNo0 / 9listing
9982 WILDWOOD Lane10664190ArcGIS overhead unavailableno0 / 9listing
4827 HOLLAND Crescent10604265No coordinateNo0 / 0unresolved
Cranbrook/Kimberley banner illustration

Area

Cranbrook/Kimberley

31/100 candidates14 MLS aerial/elevated3 ArcGIS overhead3 Bing overhead3 Mapbox overhead8 possible elevated
#1

1282 23RD S Street

List ID 20027125 · Cranbrook/Kimberley · score 126

MLS aerial/elevated
Best candidate #11282 23RD S Street best candidate #1
Best photo indices1
Coveragelikely_house_and_backyard_elevated_context
Coordinate confidencelisting
ArcGIS real / placeholder0 / 9
Bing overhead
Bing best tile
Mapbox overhead
Mapbox best tile

Automated placeholder detection: all aerial tiles appear to be Esri no-imagery placeholders; use MLS/contact-sheet path instead.; Goal review: photo 1 is an elevated oblique aerial showing the house with surrounding yard/lot context; strong candidate for the stated goal.

#2

1629 Staple Crescent

List ID 20062684 · Cranbrook/Kimberley · score 126

MLS aerial/elevated
Best candidate #51629 Staple Crescent best candidate #5
Best photo indices5,2,3,1,4,6
Coveragelikely_house_and_backyard_elevated_context
Coordinate confidencelisting
ArcGIS real / placeholder0 / 9
Bing overhead
Bing best tile
Mapbox overhead
Mapbox best tile

Automated placeholder detection: all aerial tiles appear to be Esri no-imagery placeholders; use MLS/contact-sheet path instead.; Goal review: multiple strong aerial/oblique views showing house, yard, lot edges, and neighborhood context; photo 5 appears most top-down.

#3

1732 20TH S Avenue

List ID 10675733 · Cranbrook/Kimberley · score 126

MLS aerial/elevated
Best candidate #11732 20TH S Avenue best candidate #1
Best photo indices1,2,3,4,5,6,7,9
Coveragelikely_house_and_backyard_elevated_context
Coordinate confidencelisting
ArcGIS real / placeholder0 / 9
Bing overhead
Bing best tile
Mapbox overhead
Mapbox best tile

Automated placeholder detection: all aerial tiles appear to be Esri no-imagery placeholders; use MLS/contact-sheet path instead.; Good outdoor set with lawn, deck, exterior, RV/yard context, and clear aerial/drone parcel views.

#4

1908 12th Street S

List ID 20068527 · Cranbrook/Kimberley · score 126

MLS aerial/elevated
Best candidate #31908 12th Street S best candidate #3
Best photo indices3,2
Coveragelikely_house_and_backyard_elevated_context
Coordinate confidencelisting
ArcGIS real / placeholder0 / 9
Bing overhead
Bing best tile
Mapbox overhead
Mapbox best tile

Automated placeholder detection: all aerial tiles appear to be Esri no-imagery placeholders; use MLS/contact-sheet path instead.; Goal review: photo 3 gives elevated/top-down view of rear yard with house; photo 2 shows house/lot from above. Photos 4-5 are broader neighborhood aerial context.

#5

222 Boulder Creek

List ID 20035684 · Cranbrook/Kimberley · score 126

MLS aerial/elevated
Best candidate #3222 Boulder Creek best candidate #3
Best photo indices3,8,9,4,5
Coveragelikely_house_and_backyard_elevated_context
Coordinate confidencelisting
ArcGIS real / placeholder0 / 9
Bing overhead
Bing best tile
Mapbox overhead
Mapbox best tile

Automated placeholder detection: all aerial tiles appear to be Esri no-imagery placeholders; use MLS/contact-sheet path instead.; Goal review: multiple drone/elevated snow views show building roofs, surrounding lots, and complex context. Best set for house plus lot/backyard relationship.

#6

224 Lindsay Street

List ID 20049485 · Cranbrook/Kimberley · score 126

MLS aerial/elevated
Best candidate #3224 Lindsay Street best candidate #3
Best photo indices3
Coveragelikely_house_and_backyard_elevated_context
Coordinate confidencelisting
ArcGIS real / placeholder0 / 9
Bing overhead
Bing best tile
Mapbox overhead
Mapbox best tile

Automated placeholder detection: all aerial tiles appear to be Esri no-imagery placeholders; use MLS/contact-sheet path instead.; Goal review: photo 3 is a clear elevated/top-down aerial showing house, yard/lot, and neighboring context.

#7

233 Boulder Creek

List ID 20084357 · Cranbrook/Kimberley · score 126

MLS aerial/elevated
Best candidate #4233 Boulder Creek best candidate #4
Best photo indices4,30,29,2
Coveragelikely_house_and_backyard_elevated_context
Coordinate confidencelisting
ArcGIS real / placeholder0 / 9
Bing overhead
Bing best tile
Mapbox overhead
Mapbox best tile

Automated placeholder detection: all aerial tiles appear to be Esri no-imagery placeholders; use MLS/contact-sheet path instead.; Goal review: strong elevated/drone-style images show house/yard/lot context; photos 4 and 30 appear best for backyard/lot with house, photo 29 gives broader aerial context.

#8

2904 Edgewood Drive

List ID 20072535 · Cranbrook/Kimberley · score 126

MLS aerial/elevated
Best candidate #32904 Edgewood Drive best candidate #3
Best photo indices3,1,5,4
Coveragelikely_house_and_backyard_elevated_context
Coordinate confidencelisting
ArcGIS real / placeholder0 / 9
Bing overhead
Bing best tile
Mapbox overhead
Mapbox best tile

Automated placeholder detection: all aerial tiles appear to be Esri no-imagery placeholders; use MLS/contact-sheet path instead.; Goal review: strong aerial set; photo 3 is best top-down roof/yard/lot view, with oblique house+lot and neighborhood context in photos 1, 4, 5.

#9

307 LEGACY LOOKOUT

List ID 20042910 · Cranbrook/Kimberley · score 126

MLS aerial/elevated
Best candidate #2307 LEGACY LOOKOUT best candidate #2
Best photo indices2,1
Coveragelikely_house_and_backyard_elevated_context
Coordinate confidencelisting
ArcGIS real / placeholder0 / 9
Bing overhead
Bing best tile
Mapbox overhead
Mapbox best tile

Automated placeholder detection: all aerial tiles appear to be Esri no-imagery placeholders; use MLS/contact-sheet path instead.; Goal review: photo 2 is the strongest top-down lot/house view; photo 1 provides elevated front/lot context; photo 3 is elevated scenic/context but less useful for backyard/lot.

#10

313 17TH Street S

List ID 20048728 · Cranbrook/Kimberley · score 126

MLS aerial/elevated
Best candidate #2313 17TH Street S best candidate #2
Best photo indices2,3
Coveragelikely_house_and_backyard_elevated_context
Coordinate confidencelisting
ArcGIS real / placeholder0 / 9
Bing overhead
Bing best tile
Mapbox overhead
Mapbox best tile

Automated placeholder detection: all aerial tiles appear to be Esri no-imagery placeholders; use MLS/contact-sheet path instead.; Goal review: photo 2 is a top-down drone-style view showing house/roof and lot relationship; photo 3 gives elevated neighborhood/lot context.

#11

804 17TH S Street

List ID 10672776 · Cranbrook/Kimberley · score 126

MLS aerial/elevated
Best candidate #1804 17TH S Street best candidate #1
Best photo indices1,2,4,5,7,8,9,15,16,19,20,21,22,24,25
Coveragelikely_house_and_backyard_elevated_context
Coordinate confidencelisting
ArcGIS real / placeholder0 / 9
Bing overhead
Bing best tile
Mapbox overhead
Mapbox best tile

Automated placeholder detection: all aerial tiles appear to be Esri no-imagery placeholders; use MLS/contact-sheet path instead.; Very strong backyard/landscaping set with overhead aerial/drone angles and many lawn/garden/view shots; no visible pool/hot tub.

#12

805 31ST Avenue S

List ID 20036703 · Cranbrook/Kimberley · score 126

MLS aerial/elevated
Best candidate #2805 31ST Avenue S best candidate #2
Best photo indices2,24,17
Coveragelikely_house_and_backyard_elevated_context
Coordinate confidencelisting
ArcGIS real / placeholder0 / 9
Bing overhead
Bing best tile
Mapbox overhead
Mapbox best tile

Automated placeholder detection: all aerial tiles appear to be Esri no-imagery placeholders; use MLS/contact-sheet path instead.; Goal review: photo 2 appears to be an elevated/aerial oblique showing house with treed lot/backyard context; photo 24 shows elevated backyard/house relationship; photo 17 supports deck/backyard context.

#13

1609 8TH S Avenue

List ID 10669905 · Cranbrook/Kimberley · score 122

MLS aerial/elevated
Best candidate #81609 8TH S Avenue best candidate #8
Best photo indices8,7,5
Coveragelikely_house_and_backyard_elevated_context
Coordinate confidencelisting
ArcGIS real / placeholder0 / 9
Bing overhead
Bing best tile
Mapbox overhead
Mapbox best tile

Automated placeholder detection: all aerial tiles appear to be Esri no-imagery placeholders; use MLS/contact-sheet path instead.; Goal review: photo 8 is an elevated/aerial oblique showing house, yard/lot, and neighboring context. Other exterior shots are ground-level.

#14

954 313th Drive

List ID 20042244 · Cranbrook/Kimberley · score 122

MLS aerial/elevated
Best candidate #28954 313th Drive best candidate #28
Best photo indices28,29,25
Coveragelikely_house_and_backyard_elevated_context
Coordinate confidencelisting
ArcGIS real / placeholder0 / 9
Bing overhead
Bing best tile
Mapbox overhead
Mapbox best tile

Automated placeholder detection: all aerial tiles appear to be Esri no-imagery placeholders; use MLS/contact-sheet path instead.; Goal review: no true top-down aerial visible, but photos 28/29 are elevated exterior views showing house, deck, yard/lot context; photo 25 shows rear deck/house from elevated angle; photo 30 gives broader surrounding lot/neighborhood context.

#15

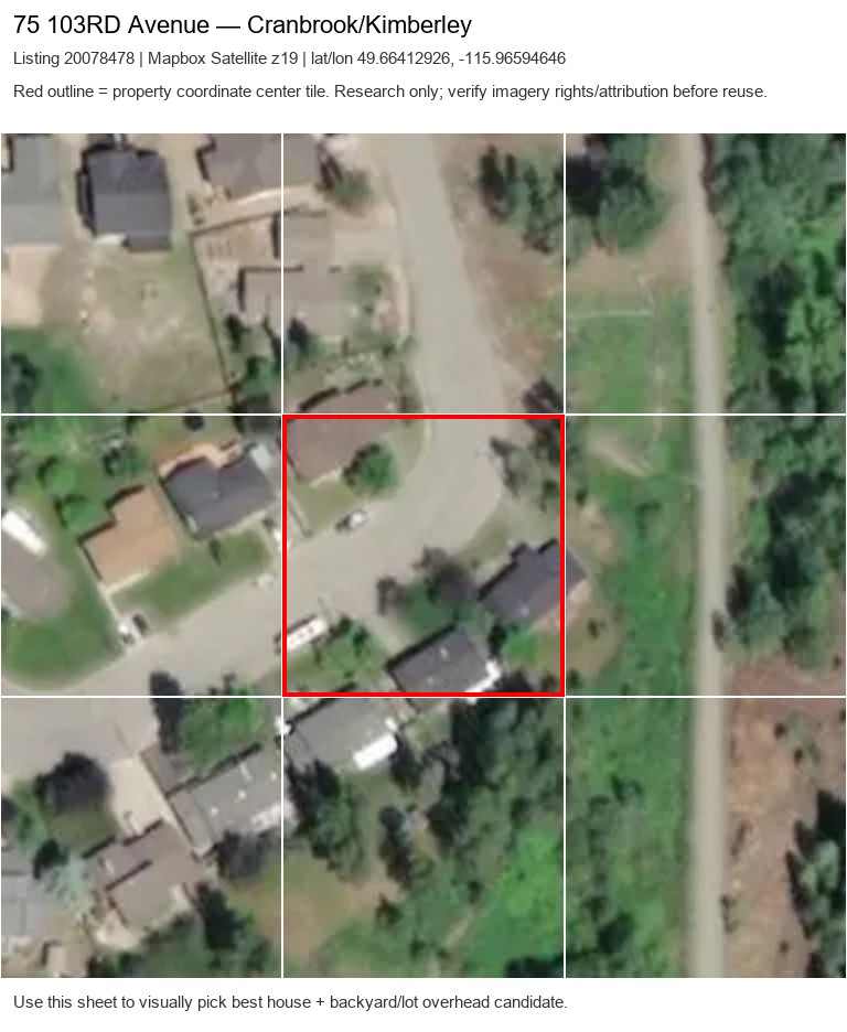
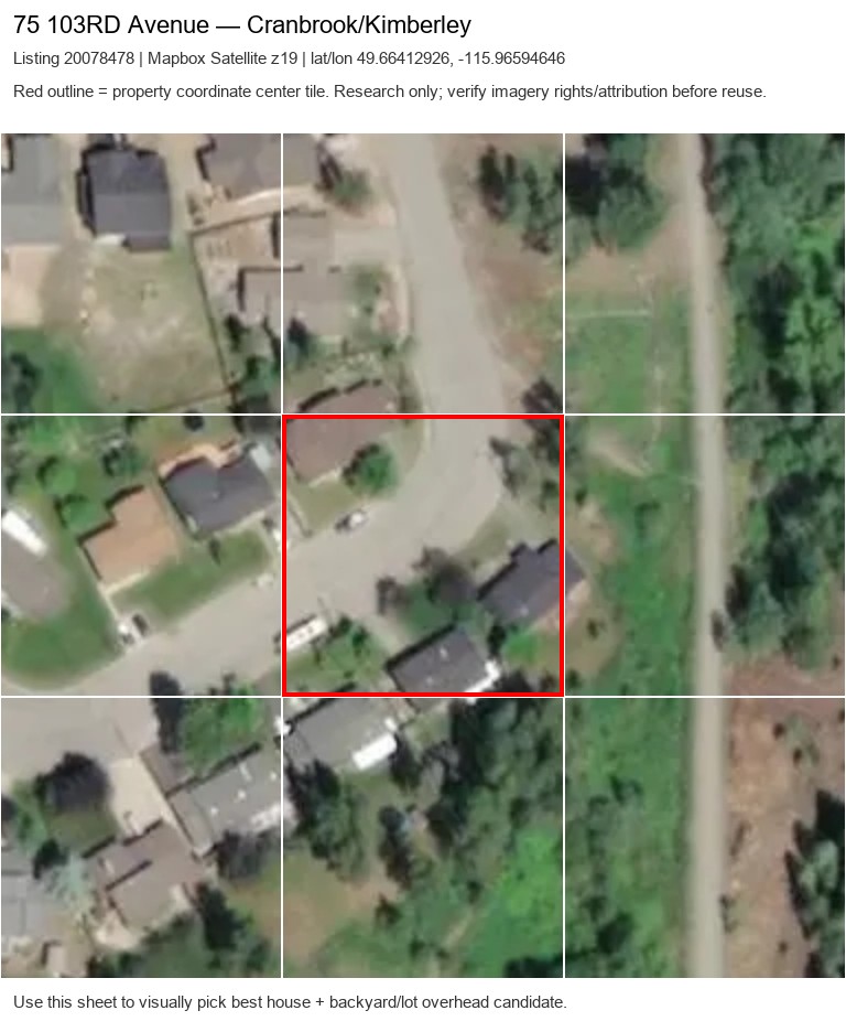
75 103RD Avenue

List ID 20078478 · Cranbrook/Kimberley · score 92

Mapbox overhead
Best candidate Mapbox75 103RD Avenue best candidate Mapbox
Best photo indices2,1,29
Coveragelikely_house_and_backyard_mapbox_overhead
Coordinate confidencelisting
ArcGIS real / placeholder0 / 9
Bing overheadunclear · low
Bing best tilecenter
Mapbox overheadyes · medium
Mapbox best tilecenter

Automated placeholder detection: all aerial tiles appear to be Esri no-imagery placeholders; use MLS/contact-sheet path instead.; Strong backyard/lawn and deck images; photo 29 appears to show a covered hot tub on deck. Needs human verification before relying on it.; Center/red tile mostly shows road bend and trees with only partial/obscured structures near edges; target house and lot are not clearly visible together.; Residential area is visible; center/red tile shows a house edge, street frontage, yard, and adjacent lot context. Some blur/cropping limits full property view.

#16

205 309th Avenue

List ID 20058040 · Cranbrook/Kimberley · score 78

Bing overhead
Best candidate Bing205 309th Avenue best candidate Bing
Best photo indices1,3,5,4
Coveragelikely_house_and_backyard_bing_overhead
Coordinate confidencelisting
ArcGIS real / placeholder0 / 9
Bing overheadyes · low
Bing best tilecenter
Mapbox overhead
Mapbox best tile

Automated placeholder detection: all aerial tiles appear to be Esri no-imagery placeholders; use MLS/contact-sheet path instead.; Strong yard/lawn/deck imagery; no apparent aerial or pool/hot tub.; Center tile includes partial house roof and treed lot/backyard area, but structure is cut off and vegetation obscures details.

#17

215 13th Avenue S

List ID 20074790 · Cranbrook/Kimberley · score 78

Bing overhead
Best candidate Bing215 13th Avenue S best candidate Bing
Best photo indices20,22,23,27,29
Coveragelikely_house_and_backyard_bing_overhead
Coordinate confidencelisting
ArcGIS real / placeholder0 / 9
Bing overheadyes · medium
Bing best tilecenter
Mapbox overhead
Mapbox best tile

Automated placeholder detection: all aerial tiles appear to be Esri no-imagery placeholders; use MLS/contact-sheet path instead.; Extensive landscaped garden/backyard sequence with paths, fencing, patio seating.; Center/red tile shows house/yard context, though tree cover and soft imagery reduce clarity.

#18

611 NELSON Street

List ID 20022519 · Cranbrook/Kimberley · score 78

Bing overhead
Best candidate Bing611 NELSON Street best candidate Bing
Best photo indices4,6,7,10,11,26
Coveragelikely_house_and_backyard_bing_overhead
Coordinate confidencelisting
ArcGIS real / placeholder0 / 9
Bing overheadyes · medium
Bing best tilecenter
Mapbox overhead
Mapbox best tile

Automated placeholder detection: all aerial tiles appear to be Esri no-imagery placeholders; use MLS/contact-sheet path instead.; Strong backyard/deck/patio and garden coverage; all appear ground-level.; Center tile gives usable neighborhood overhead context with house and yard portions, though the road bisects the tile and exact target is somewhat unclear.

#19

814 307TH Avenue

List ID 20020840 · Cranbrook/Kimberley · score 74

Mapbox overhead
Best candidate Mapbox814 307TH Avenue best candidate Mapbox
Best photo indices1,23,25,26,27,28,30
Coveragelikely_house_and_backyard_mapbox_overhead
Coordinate confidencelisting
ArcGIS real / placeholder0 / 9
Bing overhead
Bing best tile
Mapbox overheadyes · high
Mapbox best tilecenter

Automated placeholder detection: all aerial tiles appear to be Esri no-imagery placeholders; use MLS/contact-sheet path instead.; Good lawn/backyard/deck inventory; hot tub clearly visible in photo 28. Needs human verification before relying on it.; Center/red tile clearly shows a house with surrounding yard/lot, driveway/access, and adjacent structures. Best candidate among this group.

#20

9444 MOYIE SHORES ESTATES W Road

List ID 10658951 · Cranbrook/Kimberley · score 74

Possible Bing overhead
Best candidate #29444 MOYIE SHORES ESTATES W Road best candidate #2
Best photo indices2,3,6,1,5
Coveragepossible_bing_overhead_needs_verify
Coordinate confidencelisting
ArcGIS real / placeholder9 / 0
Bing overheadunclear · low
Bing best tilecenter
Mapbox overheadunclear · low
Mapbox best tiletop-left

Vision batch 002: print_mockup_potential=low; best_candidate_tile=none; Wooded rural setting with property mostly hidden by trees; no visible backyard focal point.; Goal review: no true aerial/top-down house+lot view. Strong ground-level yard/lot coverage with house visible in photos 2, 3, 6; photos 13/15/24 are elevated/deck-style views but mostly yard/lake rather than full house+backyard together.; Heavily treed and blurry; possible roof/clearing at right side of center tile, but house and backyard/lot are not clearly visible together.; Imagery is blurry and heavily tree-obscured. Top-left appears to show a roof with some surrounding lot, but backyard/lot context is weak; center/red tile does not clearly show the house.

#21

112 FOREST CROWNE Crescent

List ID 10673089 · Cranbrook/Kimberley · score 70

Mapbox overhead
Best candidate Mapbox112 FOREST CROWNE Crescent best candidate Mapbox
Best photo indices1,3,6,7,8,22
Coveragelikely_house_and_backyard_mapbox_overhead
Coordinate confidencelisting
ArcGIS real / placeholder0 / 9
Bing overhead
Bing best tile
Mapbox overheadyes · high
Mapbox best tilecenter

Automated placeholder detection: all aerial tiles appear to be Esri no-imagery placeholders; use MLS/contact-sheet path instead.; Exterior, patio/railing views, and scenic outlook shots; no clear drone/aerial or pool/hot tub.; Center/red tile clearly captures the house within its cleared lot, with surrounding yard/forest context visible.

#22

9382 MOYIE SHORES ESTATE Road

List ID 10621595 · Cranbrook/Kimberley · score 68

ArcGIS overhead
Best candidate #79382 MOYIE SHORES ESTATE Road best candidate #7
Best photo indices7,8,12,14,3,6,11
Coveragelikely_house_and_backyard_overhead
Coordinate confidencelisting
ArcGIS real / placeholder9 / 0
Bing overhead
Bing best tile
Mapbox overhead
Mapbox best tile

Vision batch 002: print_mockup_potential=medium; best_candidate_tile=center; Center/right area shows a lot with yard and structures; possible round feature but not confidently identifiable. MLS crosscheck batch 001: backyard_photos=yes; drone_or_aerial=no; hot_tub_or_pool=no; best_mls_photos=7,8,12,14,3,6,11; Excellent outdoor/waterfront MLS candidates including rear exterior, decks, lake views, dock/marina, shoreline, and wooded setting. No true aerial/drone imagery; lake visible but no pool or hot tub.; Excellent outdoor/waterfront MLS candidates including rear exterior, decks, lake views, dock/marina, shoreline, and wooded setting. No true aerial/drone imagery; lake visible but no pool or hot tub.

#23

22-9481 ESTATES Road

List ID 10667637 · Cranbrook/Kimberley · score 52

ArcGIS overhead
Best candidate ArcGIS22-9481 ESTATES Road best candidate ArcGIS
Best photo indices
Coveragelikely_house_and_backyard_overhead
Coordinate confidencelisting
ArcGIS real / placeholder9 / 0
Bing overhead
Bing best tile
Mapbox overhead
Mapbox best tile

Vision batch 002: print_mockup_potential=medium; best_candidate_tile=center; Center tile shows a cleared rural area within trees; no clear house or amenity, but usable open-space context.

#24

7822 MONROE LAKE Road

List ID 10641909 · Cranbrook/Kimberley · score 52

ArcGIS overhead
Best candidate ArcGIS7822 MONROE LAKE Road best candidate ArcGIS
Best photo indices
Coveragelikely_house_and_backyard_overhead
Coordinate confidencelisting
ArcGIS real / placeholder9 / 0
Bing overhead
Bing best tile
Mapbox overhead
Mapbox best tile

Vision batch 002: print_mockup_potential=medium; best_candidate_tile=center; Lakefront property context is attractive, but yard detail is partly obscured by trees and resolution.

#25

1400 17TH S Street

List ID 10683127 · Cranbrook/Kimberley · score 37

Possible elevated
Best candidate #11400 17TH S Street best candidate #1
Best photo indices1,2,3,4,5,6
Coveragepossible_elevated_context_needs_verify
Coordinate confidencelisting
ArcGIS real / placeholder0 / 9
Bing overhead
Bing best tile
Mapbox overhead
Mapbox best tile

Automated placeholder detection: all aerial tiles appear to be Esri no-imagery placeholders; use MLS/contact-sheet path instead.; Exterior and covered patio/front approach photos; photo 3 is elevated/neighborhood view but drone status unclear.

#26

405 FOREST CROWNE Close

List ID 20027834 · Cranbrook/Kimberley · score 37

Possible elevated
Best candidate #3405 FOREST CROWNE Close best candidate #3
Best photo indices3,1,2,4,5
Coveragepossible_elevated_context_needs_verify
Coordinate confidencelisting
ArcGIS real / placeholder0 / 9
Bing overhead
Bing best tile
Mapbox overhead
Mapbox best tile

Automated placeholder detection: all aerial tiles appear to be Esri no-imagery placeholders; use MLS/contact-sheet path instead.; Goal review: one broad overhead/neighborhood image may show lot context but not clearly the house/backyard together. Exterior/yard shots help, but aerial goal coverage is limited.

#27

145 STEMWINDER Drive

List ID 10654223 · Cranbrook/Kimberley · score 33

Possible elevated
Best candidate #1145 STEMWINDER Drive best candidate #1
Best photo indices1,2,3,4
Coveragepossible_elevated_context_needs_verify
Coordinate confidencelisting
ArcGIS real / placeholder0 / 9
Bing overhead
Bing best tile
Mapbox overhead
Mapbox best tile

Automated placeholder detection: all aerial tiles appear to be Esri no-imagery placeholders; use MLS/contact-sheet path instead.; Goal review: no aerial/top-down or clear backyard-wide view; early exterior shots show house on sloped lot and some surrounding terrain, but lot/backyard coverage is limited.

#28

200 BOULDER Creek

List ID 20022971 · Cranbrook/Kimberley · score 33

Possible elevated
Best candidate #19200 BOULDER Creek best candidate #19
Best photo indices19,20,18,1
Coveragepossible_elevated_context_needs_verify
Coordinate confidencelisting
ArcGIS real / placeholder0 / 9
Bing overhead
Bing best tile
Mapbox overhead
Mapbox best tile

Automated placeholder detection: all aerial tiles appear to be Esri no-imagery placeholders; use MLS/contact-sheet path instead.; Goal review: no true aerial/top-down visible. Deck/elevated backyard-view shots show lot/view and partial rear/deck context; photo 1 is front exterior only.

#29

454 Forest Crowne Rise

List ID 20073637 · Cranbrook/Kimberley · score 33

Possible elevated
Best candidate #2454 Forest Crowne Rise best candidate #2
Best photo indices2,23,27,30
Coveragepossible_elevated_context_needs_verify
Coordinate confidencelisting
ArcGIS real / placeholder0 / 9
Bing overhead
Bing best tile
Mapbox overhead
Mapbox best tile

Automated placeholder detection: all aerial tiles appear to be Esri no-imagery placeholders; use MLS/contact-sheet path instead.; Goal review: several elevated exterior/deck/lot-view candidates; house and lot context visible, but backyard-together coverage is incomplete and no true aerial.

#30

700 22ND S Avenue

List ID 10685008 · Cranbrook/Kimberley · score 33

Possible elevated
Best candidate #2700 22ND S Avenue best candidate #2
Best photo indices2,11,10,30
Coveragepossible_elevated_context_needs_verify
Coordinate confidencelisting
ArcGIS real / placeholder0 / 9
Bing overhead
Bing best tile
Mapbox overhead
Mapbox best tile

Automated placeholder detection: all aerial tiles appear to be Esri no-imagery placeholders; use MLS/contact-sheet path instead.; Goal review: photo 2 is elevated/neighborhood view but subject house/backyard not clearly identifiable. Other elevated/yard views show lot/outlook, not house and backyard together clearly.

#31

805 16TH S Street

List ID 20020530 · Cranbrook/Kimberley · score 33

Possible elevated
Best candidate #1805 16TH S Street best candidate #1
Best photo indices1,2
Coveragepossible_elevated_context_needs_verify
Coordinate confidencelisting
ArcGIS real / placeholder0 / 9
Bing overhead
Bing best tile
Mapbox overhead
Mapbox best tile

Automated placeholder detection: all aerial tiles appear to be Esri no-imagery placeholders; use MLS/contact-sheet path instead.; Goal review: only front/driveway elevated exterior views; limited or no clear backyard visibility. Useful mainly for house and front lot context.

All addresses

Cranbrook/Kimberley

100 total properties
AddressStatusBest photosMLS reviewedArcGIS tilesBingMapboxCoordinate
1282 23RD S Street20027125MLS aerial/elevated1yes0 / 9listing
1629 Staple Crescent20062684MLS aerial/elevated5,2,3,1,4,6yes0 / 9listing
1732 20TH S Avenue10675733MLS aerial/elevated1,2,3,4,5,6,7,9yes0 / 9listing
1908 12th Street S20068527MLS aerial/elevated3,2yes0 / 9listing
222 Boulder Creek20035684MLS aerial/elevated3,8,9,4,5yes0 / 9listing
224 Lindsay Street20049485MLS aerial/elevated3yes0 / 9listing
233 Boulder Creek20084357MLS aerial/elevated4,30,29,2yes0 / 9listing
2904 Edgewood Drive20072535MLS aerial/elevated3,1,5,4yes0 / 9listing
307 LEGACY LOOKOUT20042910MLS aerial/elevated2,1yes0 / 9listing
313 17TH Street S20048728MLS aerial/elevated2,3yes0 / 9listing
804 17TH S Street10672776MLS aerial/elevated1,2,4,5,7,8,9,15,16,19,20,21,22,24,25yes0 / 9listing
805 31ST Avenue S20036703MLS aerial/elevated2,24,17yes0 / 9listing
1609 8TH S Avenue10669905MLS aerial/elevated8,7,5yes0 / 9listing
954 313th Drive20042244MLS aerial/elevated28,29,25yes0 / 9listing
75 103RD Avenue20078478Mapbox overhead2,1,29no0 / 9unclearyeslisting
205 309th Avenue20058040Bing overhead1,3,5,4no0 / 9yeslisting
215 13th Avenue S20074790Bing overhead20,22,23,27,29no0 / 9yeslisting
611 NELSON Street20022519Bing overhead4,6,7,10,11,26no0 / 9yeslisting
814 307TH Avenue20020840Mapbox overhead1,23,25,26,27,28,30no0 / 9yeslisting
9444 MOYIE SHORES ESTATES W Road10658951Possible Bing overhead2,3,6,1,5no9 / 0unclearunclearlisting
112 FOREST CROWNE Crescent10673089Mapbox overhead1,3,6,7,8,22no0 / 9yeslisting
9382 MOYIE SHORES ESTATE Road10621595ArcGIS overhead7,8,12,14,3,6,11no9 / 0listing
22-9481 ESTATES Road10667637ArcGIS overheadNo9 / 0listing
7822 MONROE LAKE Road10641909ArcGIS overheadNo9 / 0listing
1400 17TH S Street10683127Possible elevated1,2,3,4,5,6unclear0 / 9listing
405 FOREST CROWNE Close20027834Possible elevated3,1,2,4,5unclear0 / 9listing
145 STEMWINDER Drive10654223Possible elevated1,2,3,4unclear0 / 9listing
200 BOULDER Creek20022971Possible elevated19,20,18,1unclear0 / 9listing
454 Forest Crowne Rise20073637Possible elevated2,23,27,30unclear0 / 9listing
700 22ND S Avenue10685008Possible elevated2,11,10,30unclear0 / 9listing
805 16TH S Street20020530Possible elevated1,2unclear0 / 9listing
166 304th Avenue20077373ArcGIS overhead unavailable3,2,17,24,25no0 / 9listing
2400 34TH S Avenue10680848ArcGIS overhead unavailable1,2,3,4,5,29,30no0 / 9listing
311 302nd Avenue20073830ArcGIS overhead unavailable3,6,7,4,11no0 / 9listing
405 7TH Avenue20022685ArcGIS overhead unavailable1,2,5,7no0 / 9listing
4315 LAKEVIEW Drive20003058ArcGIS overhead unavailable1,2,3,4no0 / 9listing
530 Trail Street20070160ArcGIS overhead unavailable1,2,3no0 / 9listing
701 34TH S Avenue10679813ArcGIS overhead unavailable1,2,3,4,5,6,7no0 / 9listing
821 6TH Avenue10693834ArcGIS overhead unavailable1,2,3,4,5no0 / 9listing
112 PURCELL Place10685535ArcGIS overhead unavailable5,29,1,2,3no0 / 9listing
1274 23RD S Street10674183ArcGIS overhead unavailable1,2no0 / 9listing
147 THE WHINS20021290ArcGIS overhead unavailable3,24,26,27,29no0 / 9listing
150 SULLIVAN Drive10672843ArcGIS overhead unavailable1no0 / 9listing
176 SHADOW MOUNTAIN Boulevard10681930ArcGIS overhead unavailable1,2,3,4no0 / 9listing
1905 16TH S Street10670897ArcGIS overhead unavailable1no0 / 9listing
1909 16TH S Street10652500ArcGIS overhead unavailable1no0 / 9listing
209 31st Avenue S20078342ArcGIS overhead unavailable30,1,29,28no0 / 9listing
244 Boulder Creek20087226ArcGIS overhead unavailable1,30no0 / 9listing
254 305TH Avenue20043585ArcGIS overhead unavailable1,2no0 / 9listing
2715 3rd Street S20053388ArcGIS overhead unavailable1no0 / 9listing
2850 BLACK BEAR Crescent20042580ArcGIS overhead unavailable1,3,4no0 / 9listing
2950 Mellor Road20075439ArcGIS overhead unavailable1,2,3,4no0 / 9listing
3101 5th Street S20063623ArcGIS overhead unavailable3,1,2no0 / 9listing
3313 3A Street S20045387ArcGIS overhead unavailable1no0 / 9listing
335 16th Avenue S20080078ArcGIS overhead unavailable1no0 / 9listing
438 ALPINE Crescent20048760ArcGIS overhead unavailable1,3,2,4no0 / 9listing
447 CROWNE RISE Forest10682881ArcGIS overhead unavailable1,2,3,4,15no0 / 9listing
51 100TH Avenue20040797ArcGIS overhead unavailable1,13,14no0 / 9listing
606 302nd Street20081980ArcGIS overhead unavailable4,3,1no0 / 9listing
610 PONDEROSA Drive20037931ArcGIS overhead unavailable3no0 / 9listing
801 22ND S Avenue10669531ArcGIS overhead unavailable1,2no0 / 9listing
87-1401 Willowbrook Drive N20086371ArcGIS overhead unavailable1,2,21,22,23no0 / 9listing
9-6324 LAURIER Avenue10669578ArcGIS overhead unavailable1,2,3,4no0 / 9listing
913 17TH S Street10680439ArcGIS overhead unavailable1,2no0 / 9listing
940 313TH Drive20050871ArcGIS overhead unavailable2,6no0 / 9listing
#37-6674 WARDNER-KIKOMUN Road10606465ArcGIS overhead unavailableNo0 / 9listing
129 STEMWINDER Drive10667018ArcGIS overhead unavailableNo0 / 9listing
1357 SOUTHVIEW Drive10612922ArcGIS overhead unavailableNo0 / 9listing
140 River Drive20079642ArcGIS overhead unavailableNo0 / 9listing
1464 SOUTHVIEW Drive10667357ArcGIS overhead unavailableno0 / 9listing
15 Turner Close20083862ArcGIS overhead unavailableNo0 / 9listing
153 STEMWINDER Drive10552417ArcGIS overhead unavailableNo0 / 9listing
1611 1ST S Avenue10684522ArcGIS overhead unavailableNo0 / 9listing
1646 MT PYRAMID Crescent20069196ArcGIS overhead unavailableNo0 / 9listing
1701 3RD S Avenue10657484ArcGIS overhead unavailableNo0 / 9listing
18-6674 WARDNER-KIKOMUM Road10626846ArcGIS overhead unavailableNo0 / 9listing
1900 12th Street S20057967ArcGIS overhead unavailableno0 / 9listing
205 18 Street S20040986ArcGIS overhead unavailableNo0 / 9listing
208 CROWNE TERRACE Forest10625065ArcGIS overhead unavailableNo0 / 9listing
211 CROWNE TERRACE Forest10683832ArcGIS overhead unavailableNo0 / 9listing
2210 13TH S Avenue10685240ArcGIS overhead unavailableNo0 / 9listing
300 LEGACY LOOKOUT10681908ArcGIS overhead unavailableNo0 / 9listing
303 Legacy Lookout20047369ArcGIS overhead unavailableNo0 / 9listing
3104 5th Street S20046086ArcGIS overhead unavailableNo0 / 9listing
317 Legacy Lookout20071254ArcGIS overhead unavailableNo0 / 9listing
32-1401 30TH N Avenue20026282ArcGIS overhead unavailableNo0 / 9listing
350 Legacy Lookout20050060ArcGIS overhead unavailableNo0 / 9listing
365 Legacy Lookout20087063ArcGIS overhead unavailableNo0 / 9listing
402 ALPINE Crescent20021100ArcGIS overhead unavailableNo0 / 9listing
419 ALPINE Crescent10470205ArcGIS overhead unavailableNo0 / 9listing
518 FOREST CROWNE Drive10669940ArcGIS overhead unavailableNo0 / 9listing
610 TRAIL Street20022594ArcGIS overhead unavailableNo0 / 9listing
6392 TIE LAKE Road10574318ArcGIS overhead unavailableNo0 / 9point
717 27th Avenue S20060670ArcGIS overhead unavailableNo0 / 9listing
725 34TH S Avenue10676696ArcGIS overhead unavailableNo0 / 9listing
804 16th Street S20085434ArcGIS overhead unavailableNo0 / 9listing
812 17TH S Street10658252ArcGIS overhead unavailableNo0 / 9listing
824 309TH Street10665147ArcGIS overhead unavailableNo0 / 9listing
9314 LANGEVIN Street10675651ArcGIS overhead unavailableNo0 / 9listing
9905 OSPREY LANDING Drive10678423ArcGIS overhead unavailableNo0 / 9listing
Fernie/Sparwood banner illustration

Area

Fernie/Sparwood

28/100 candidates13 MLS aerial/elevated7 ArcGIS overhead3 Bing overhead2 Mapbox overhead3 possible elevated
#1

1170 Mcdonald Avenue

List ID 20066310 · Fernie/Sparwood · score 126

MLS aerial/elevated
Best candidate #61170 Mcdonald Avenue best candidate #6
Best photo indices6,5,3,4
Coveragelikely_house_and_backyard_elevated_context
Coordinate confidencelisting
ArcGIS real / placeholder0 / 9
Bing overhead
Bing best tile
Mapbox overhead
Mapbox best tile

Automated placeholder detection: all aerial tiles appear to be Esri no-imagery placeholders; use MLS/contact-sheet path instead.; Goal review: photo 6 appears to be a close top-down/overhead lot view showing house and yard layout; photo 5 gives broader aerial neighborhood context. Photos 3-4 add ground/elevated exterior lot context.

#2

1302 11th Avenue

List ID 20060624 · Fernie/Sparwood · score 126

MLS aerial/elevated
Best candidate #301302 11th Avenue best candidate #30
Best photo indices30,29,24
Coveragelikely_house_and_backyard_elevated_context
Coordinate confidencelisting
ArcGIS real / placeholder0 / 9
Bing overhead
Bing best tile
Mapbox overhead
Mapbox best tile

Automated placeholder detection: all aerial tiles appear to be Esri no-imagery placeholders; use MLS/contact-sheet path instead.; Goal review: photo 30 is top-down lot/house view with outline; photo 29 is elevated oblique showing house and fenced yard. Photo 24 is useful rear-yard ground support.

#3

16 MT MINTON Street

List ID 10671641 · Fernie/Sparwood · score 126

MLS aerial/elevated
Best candidate #116 MT MINTON Street best candidate #1
Best photo indices1,8,4,2,3
Coveragelikely_house_and_backyard_elevated_context
Coordinate confidencelisting
ArcGIS real / placeholder0 / 9
Bing overhead
Bing best tile
Mapbox overhead
Mapbox best tile

Automated placeholder detection: all aerial tiles appear to be Esri no-imagery placeholders; use MLS/contact-sheet path instead.; Goal review: photo 1 is the clearest elevated/aerial-style view showing houses and surrounding lots; likely useful for house-plus-yard context. Photo 8 gives elevated deck/backyard perspective; photo 4 adds yard coverage.

#4

18 ELKVIEW Crescent

List ID 10677481 · Fernie/Sparwood · score 126

MLS aerial/elevated
Best candidate #618 ELKVIEW Crescent best candidate #6
Best photo indices6,7,3,2,5,1
Coveragelikely_house_and_backyard_elevated_context
Coordinate confidencelisting
ArcGIS real / placeholder0 / 9
Bing overhead
Bing best tile
Mapbox overhead
Mapbox best tile

Automated placeholder detection: all aerial tiles appear to be Esri no-imagery placeholders; use MLS/contact-sheet path instead.; Goal review: strong aerial/elevated coverage. Photos 6-7 best show house footprint with yard/lot; photos 3 and 5 add top-down neighborhood/lot context; photos 1-2 show elevated house-and-yard views.

#5

2 RIDGEMONT Avenue

List ID 10681344 · Fernie/Sparwood · score 126

MLS aerial/elevated
Best candidate #32 RIDGEMONT Avenue best candidate #3
Best photo indices3,2,1
Coveragelikely_house_and_backyard_elevated_context
Coordinate confidencelisting
ArcGIS real / placeholder0 / 9
Bing overhead
Bing best tile
Mapbox overhead
Mapbox best tile

Automated placeholder detection: all aerial tiles appear to be Esri no-imagery placeholders; use MLS/contact-sheet path instead.; Goal review: photo 3 is a clear elevated/top-down aerial-style view showing the house, driveway, and surrounding lot/backyard context. Photos 1-2 provide supporting exterior context.

#6

49 MT PROCTOR Avenue

List ID 10676258 · Fernie/Sparwood · score 126

MLS aerial/elevated
Best candidate #349 MT PROCTOR Avenue best candidate #3
Best photo indices3,2,1,30
Coveragelikely_house_and_backyard_elevated_context
Coordinate confidencelisting
ArcGIS real / placeholder0 / 9
Bing overhead
Bing best tile
Mapbox overhead
Mapbox best tile

Automated placeholder detection: all aerial tiles appear to be Esri no-imagery placeholders; use MLS/contact-sheet path instead.; Goal review: photo 3 is a top-down/aerial view showing house/roof and surrounding lot context. Photos 1/2 show house with lawn from ground level; photo 30 gives yard/neighborhood context from an elevated deck/porch angle.

#7

661 3RD Avenue

List ID 10665467 · Fernie/Sparwood · score 126

MLS aerial/elevated
Best candidate #3661 3RD Avenue best candidate #3
Best photo indices3,4,5,6,7
Coveragelikely_house_and_backyard_elevated_context
Coordinate confidencelisting
ArcGIS real / placeholder0 / 9
Bing overhead
Bing best tile
Mapbox overhead
Mapbox best tile

Automated placeholder detection: all aerial tiles appear to be Esri no-imagery placeholders; use MLS/contact-sheet path instead.; Goal review: strong backyard/lot coverage; photo 7 is top-down/elevated yard view, with multiple ground views showing house/yard context.

#8

782 4TH Avenue

List ID 20020418 · Fernie/Sparwood · score 126

MLS aerial/elevated
Best candidate #10782 4TH Avenue best candidate #10
Best photo indices10,6,7,4,5
Coveragelikely_house_and_backyard_elevated_context
Coordinate confidencelisting
ArcGIS real / placeholder0 / 9
Bing overhead
Bing best tile
Mapbox overhead
Mapbox best tile

Automated placeholder detection: all aerial tiles appear to be Esri no-imagery placeholders; use MLS/contact-sheet path instead.; Goal review: strong aerial neighborhood/property context, especially photo 10 with apparent lot/property framing. Photos 4 and 5 show house and fenced backyard area.

#9

941 5th Avenue

List ID 20039625 · Fernie/Sparwood · score 126

MLS aerial/elevated
Best candidate #29941 5th Avenue best candidate #29
Best photo indices29
Coveragelikely_house_and_backyard_elevated_context
Coordinate confidencelisting
ArcGIS real / placeholder0 / 9
Bing overhead
Bing best tile
Mapbox overhead
Mapbox best tile

Automated placeholder detection: all aerial tiles appear to be Esri no-imagery placeholders; use MLS/contact-sheet path instead.; Goal review: photo 29 is a useful top-down aerial showing house/roof and lot context; photo 30 provides broader elevated neighborhood/mountain context.

#10

14 MT TRINITY Avenue

List ID 10682383 · Fernie/Sparwood · score 122

MLS aerial/elevated
Best candidate #214 MT TRINITY Avenue best candidate #2
Best photo indices2,1,30
Coveragelikely_house_and_backyard_elevated_context
Coordinate confidencelisting
ArcGIS real / placeholder0 / 9
Bing overhead
Bing best tile
Mapbox overhead
Mapbox best tile

Automated placeholder detection: all aerial tiles appear to be Esri no-imagery placeholders; use MLS/contact-sheet path instead.; Goal review: photo 2 is the strongest elevated/oblique view showing roof/house and surrounding yard/lot context; photo 1 also shows front/lot context. Photo 30 shows backyard ground-level detail but not aerial.

#11

21 MT MINTON Street

List ID 10654287 · Fernie/Sparwood · score 122

MLS aerial/elevated
Best candidate #2921 MT MINTON Street best candidate #29
Best photo indices29,30,28,1
Coveragelikely_house_and_backyard_elevated_context
Coordinate confidencelisting
ArcGIS real / placeholder0 / 9
Bing overhead
Bing best tile
Mapbox overhead
Mapbox best tile

Automated placeholder detection: all aerial tiles appear to be Esri no-imagery placeholders; use MLS/contact-sheet path instead.; Goal review: photos 28-30 are elevated deck/backyard/lot views; they show usable rear-lot context though not a full overhead house+yard aerial.

#12

6740 Rosen Lake Road

List ID 20066454 · Fernie/Sparwood · score 122

MLS aerial/elevated
Best candidate #36740 Rosen Lake Road best candidate #3
Best photo indices3,1,26,27,2
Coveragelikely_house_and_backyard_elevated_context
Coordinate confidencelisting
ArcGIS real / placeholder0 / 9
Bing overhead
Bing best tile
Mapbox overhead
Mapbox best tile

Automated placeholder detection: all aerial tiles appear to be Esri no-imagery placeholders; use MLS/contact-sheet path instead.; Goal review: several elevated/exterior views show the house/deck with surrounding wooded lot. Photos 3 and 1 best combine structure with lot context; photos 26/27 add elevated deck/yard/setting views.

#13

921 11TH Avenue

List ID 10668743 · Fernie/Sparwood · score 122

MLS aerial/elevated
Best candidate #4921 11TH Avenue best candidate #4
Best photo indices4,24,25,26,27
Coveragelikely_house_and_backyard_elevated_context
Coordinate confidencelisting
ArcGIS real / placeholder0 / 9
Bing overhead
Bing best tile
Mapbox overhead
Mapbox best tile

Automated placeholder detection: all aerial tiles appear to be Esri no-imagery placeholders; use MLS/contact-sheet path instead.; Goal review: photo 4 is an elevated/aerial neighborhood/property view with roof/lot context, though subject/backyard detail is somewhat partial. Deck/yard shots add ground-level context.

#14

1309 BIRCHWOOD Place

List ID 20028580 · Fernie/Sparwood · score 94

Bing overhead
Best candidate Bing1309 BIRCHWOOD Place best candidate Bing
Best photo indices1
Coveragelikely_house_and_backyard_bing_overhead
Coordinate confidencelisting
ArcGIS real / placeholder9 / 0
Bing overheadyes · medium
Bing best tilecenter
Mapbox overhead
Mapbox best tile

Vision batch 002: print_mockup_potential=low; best_candidate_tile=center; Heavily treed lot with obscured yard and blurry imagery; limited usable backyard detail.; Goal review: no aerial/top-down/elevated lot view visible. Only exterior candidate is photo 1, a ground-level front/driveway view with limited lot/backyard information.; Center tile shows part of the house/roof edge with adjacent lawn and treed backyard area; useful though partially obscured by trees and not a full house view.

#15

1357 Cypress Drive

List ID 20078363 · Fernie/Sparwood · score 94

Bing overhead
Best candidate Bing1357 Cypress Drive best candidate Bing
Best photo indices1,2,3
Coveragelikely_house_and_backyard_bing_overhead
Coordinate confidencelisting
ArcGIS real / placeholder9 / 0
Bing overheadyes · medium
Bing best tilecenter
Mapbox overhead
Mapbox best tile

Vision batch 001: print_mockup_potential=low; best_candidate_tile=center; Blurry residential view with some yard and tree cover, but details are weak for print marketing.; Goal review: no aerial/elevated exterior. Photos 1-3 are front ground-level house/lot views only; no backyard/lot-overview image found.; Center tile shows house/driveway area, lawn, road frontage, and surrounding yard; tree cover obscures some detail but overall usable.

#16

2313 FALCON Court

List ID 10683161 · Fernie/Sparwood · score 94

Bing overhead
Best candidate Bing2313 FALCON Court best candidate Bing
Best photo indices1
Coveragelikely_house_and_backyard_bing_overhead
Coordinate confidencelisting
ArcGIS real / placeholder8 / 1
Bing overheadyes · high
Bing best tilecenter
Mapbox overhead
Mapbox best tile

Vision batch 002: print_mockup_potential=low; best_candidate_tile=center; House and lot are visible but very blurry with little usable backyard detail.; Goal review: photo 1 is a ground-level front exterior only; no aerial/elevated image showing house with backyard/lot together.; Clear overhead view of house, driveway, cul-de-sac frontage, and backyard/lot boundaries; strongest usable Bing overhead.

#17

1681 KOOCANUSA LAKE Drive

List ID 10679423 · Fernie/Sparwood · score 85

ArcGIS overhead
Best candidate ArcGIS1681 KOOCANUSA LAKE Drive best candidate ArcGIS
Best photo indices
Coveragelikely_house_and_backyard_overhead
Coordinate confidencelisting
ArcGIS real / placeholder9 / 0
Bing overhead
Bing best tile
Mapbox overhead
Mapbox best tile

Vision batch 001: print_mockup_potential=high; best_candidate_tile=center; Clear lakeside property with yard, beach, and shoreline context; no obvious hot tub or pool.

#18

79 RIDGEMONT Drive

List ID 10682918 · Fernie/Sparwood · score 74

Mapbox overhead
Best candidate Mapbox79 RIDGEMONT Drive best candidate Mapbox
Best photo indices1,2,3,7,9,10
Coveragelikely_house_and_backyard_mapbox_overhead
Coordinate confidencelisting
ArcGIS real / placeholder0 / 9
Bing overhead
Bing best tile
Mapbox overheadyes · medium
Mapbox best tilecenter

Automated placeholder detection: all aerial tiles appear to be Esri no-imagery placeholders; use MLS/contact-sheet path instead.; Strong exterior/yard and mountain-view seating shots; no aerial or hot tub/pool visible.; Center/red tile shows street, driveway/structures, and nearby yards; useful neighborhood/lot context, though the likely house/backyard is partly cropped and somewhat blurry.

#19

1362 11TH Avenue

List ID 10663121 · Fernie/Sparwood · score 70

Mapbox overhead
Best candidate Mapbox1362 11TH Avenue best candidate Mapbox
Best photo indices1,7,10,11,13,16
Coveragelikely_house_and_backyard_mapbox_overhead
Coordinate confidencelisting
ArcGIS real / placeholder0 / 9
Bing overhead
Bing best tile
Mapbox overheadyes · medium
Mapbox best tilecenter

Automated placeholder detection: all aerial tiles appear to be Esri no-imagery placeholders; use MLS/contact-sheet path instead.; Goal review: many ground-level exterior/patio/yard views showing house and yard context; no aerial or top-down/elevated overview.; Center/red tile includes the house, driveway, and surrounding residential lot context; somewhat soft but usable.

#20

1643 Koocanusa Lake Drive

List ID 20068707 · Fernie/Sparwood · score 69

ArcGIS overhead
Best candidate ArcGIS1643 Koocanusa Lake Drive best candidate ArcGIS
Best photo indices
Coveragelikely_house_and_backyard_overhead
Coordinate confidencelisting
ArcGIS real / placeholder9 / 0
Bing overhead
Bing best tile
Mapbox overhead
Mapbox best tile

Vision batch 001: print_mockup_potential=medium; best_candidate_tile=other; Center tile is mostly road and driveway; adjacent right-side tiles show better homes and lawns near water.

#21

1265 VALLEY VIEW Place

List ID 20059379 · Fernie/Sparwood · score 68

ArcGIS overhead
Best candidate #271265 VALLEY VIEW Place best candidate #27
Best photo indices27,29,30,26,28
Coveragelikely_house_and_backyard_overhead
Coordinate confidencelisting
ArcGIS real / placeholder9 / 0
Bing overhead
Bing best tile
Mapbox overhead
Mapbox best tile

Vision batch 002: print_mockup_potential=medium; best_candidate_tile=center; Center tile shows house and yard but imagery is soft; small circular feature may be a tub/pool or yard object. MLS crosscheck batch 001: backyard_photos=yes; drone_or_aerial=no; hot_tub_or_pool=no; best_mls_photos=27,29,30,26,28; Strong backyard/outdoor MLS candidates with deck, lawn, landscaping, mountain views, and rear/side yard context. No visible aerial/drone or hot tub/pool.; Strong backyard/outdoor MLS candidates with deck, lawn, landscaping, mountain views, and rear/side yard context. No visible aerial/drone or hot tub/pool.

#22

1204 VALLEY VIEW Drive

List ID 10683952 · Fernie/Sparwood · score 52

ArcGIS overhead
Best candidate ArcGIS1204 VALLEY VIEW Drive best candidate ArcGIS
Best photo indices
Coveragelikely_house_and_backyard_overhead
Coordinate confidencelisting
ArcGIS real / placeholder9 / 0
Bing overhead
Bing best tile
Mapbox overhead
Mapbox best tile

Vision batch 001: print_mockup_potential=medium; best_candidate_tile=center; Center tile shows the home edge, lawn, driveway, and road; somewhat soft but usable for a basic overhead crop.

#23

1206 VALLEY VIEW Drive

List ID 20022704 · Fernie/Sparwood · score 52

ArcGIS overhead
Best candidate ArcGIS1206 VALLEY VIEW Drive best candidate ArcGIS
Best photo indices
Coveragelikely_house_and_backyard_overhead
Coordinate confidencelisting
ArcGIS real / placeholder9 / 0
Bing overhead
Bing best tile
Mapbox overhead
Mapbox best tile

Vision batch 001: print_mockup_potential=medium; best_candidate_tile=center; Same contact-sheet area as prior image, with partial house and yard visible in center; no obvious pool or hot tub.

#24

1256 Valley View Drive

List ID 20049830 · Fernie/Sparwood · score 52

ArcGIS overhead
Best candidate ArcGIS1256 Valley View Drive best candidate ArcGIS
Best photo indices
Coveragelikely_house_and_backyard_overhead
Coordinate confidencelisting
ArcGIS real / placeholder9 / 0
Bing overhead
Bing best tile
Mapbox overhead
Mapbox best tile

Vision batch 001: print_mockup_potential=medium; best_candidate_tile=center; Center tile includes a visible structure and yard beside a curved road, though resolution is soft.

#25

532 Granzow Road

List ID 20046554 · Fernie/Sparwood · score 52

ArcGIS overhead
Best candidate ArcGIS532 Granzow Road best candidate ArcGIS
Best photo indices
Coveragelikely_house_and_backyard_overhead
Coordinate confidencelisting
ArcGIS real / placeholder9 / 0
Bing overhead
Bing best tile
Mapbox overhead
Mapbox best tile

Vision batch 001: print_mockup_potential=medium; best_candidate_tile=other; Wooded acreage setting with partial roofs and yard areas; tree cover obscures the center, and a dark rectangular feature in another tile is ambiguous.

#26

1668 Tranquility Road

List ID 20080409 · Fernie/Sparwood · score 46

Possible Bing overhead
Best candidate ArcGIS1668 Tranquility Road best candidate ArcGIS
Best photo indices
Coveragepossible_bing_overhead_needs_verify
Coordinate confidencelisting
ArcGIS real / placeholder9 / 0
Bing overheadunclear · low
Bing best tilecenter
Mapbox overheadno · low
Mapbox best tilecenter

Vision batch 002: print_mockup_potential=low; best_candidate_tile=none; Dense tree canopy dominates center tile; property/backyard is obscured.; Dense tree cover; possible driveway/clearing visible but no clear house + backyard/lot view together.; Mostly dense tree canopy with no clearly visible house or usable backyard/lot view. Center/red tile is obscured.

#27

862 10TH Avenue

List ID 10666129 · Fernie/Sparwood · score 37

Possible elevated
Best candidate #5862 10TH Avenue best candidate #5
Best photo indices5,4,6,1,2
Coveragepossible_elevated_context_needs_verify
Coordinate confidencelisting
ArcGIS real / placeholder0 / 9
Bing overhead
Bing best tile
Mapbox overhead
Mapbox best tile

Automated placeholder detection: all aerial tiles appear to be Esri no-imagery placeholders; use MLS/contact-sheet path instead.; Goal review: no true aerial; photos 4/6 are deck/elevated yard views, while photo 5 shows rear/side of house with yard from ground level.

#28

2202 Black Hawk Drive

List ID 20034035 · Fernie/Sparwood · score 33

Possible elevated
Best candidate #12202 Black Hawk Drive best candidate #1
Best photo indices1
Coveragepossible_elevated_context_needs_verify
Coordinate confidencelisting
ArcGIS real / placeholder8 / 1
Bing overhead
Bing best tile
Mapbox overhead
Mapbox best tile

Vision batch 002: print_mockup_potential=low; best_candidate_tile=none; Mostly undeveloped or bare lot/road area; no clear backyard amenity.; Goal review: photo 1 is an elevated exterior/oblique view showing the house and some surrounding lot/driveway, but backyard coverage is limited or unclear; no true aerial/top-down backyard image visible.

All addresses

Fernie/Sparwood

100 total properties
AddressStatusBest photosMLS reviewedArcGIS tilesBingMapboxCoordinate
1170 Mcdonald Avenue20066310MLS aerial/elevated6,5,3,4yes0 / 9listing
1302 11th Avenue20060624MLS aerial/elevated30,29,24yes0 / 9listing
16 MT MINTON Street10671641MLS aerial/elevated1,8,4,2,3yes0 / 9listing
18 ELKVIEW Crescent10677481MLS aerial/elevated6,7,3,2,5,1yes0 / 9listing
2 RIDGEMONT Avenue10681344MLS aerial/elevated3,2,1yes0 / 9listing
49 MT PROCTOR Avenue10676258MLS aerial/elevated3,2,1,30yes0 / 9listing
661 3RD Avenue10665467MLS aerial/elevated3,4,5,6,7yes0 / 9listing
782 4TH Avenue20020418MLS aerial/elevated10,6,7,4,5yes0 / 9listing
941 5th Avenue20039625MLS aerial/elevated29yes0 / 9listing
14 MT TRINITY Avenue10682383MLS aerial/elevated2,1,30yes0 / 9listing
21 MT MINTON Street10654287MLS aerial/elevated29,30,28,1yes0 / 9listing
6740 Rosen Lake Road20066454MLS aerial/elevated3,1,26,27,2yes0 / 9listing
921 11TH Avenue10668743MLS aerial/elevated4,24,25,26,27yes0 / 9listing
1309 BIRCHWOOD Place20028580Bing overhead1no9 / 0yeslisting
1357 Cypress Drive20078363Bing overhead1,2,3no9 / 0yeslisting
2313 FALCON Court10683161Bing overhead1no8 / 1yeslisting
1681 KOOCANUSA LAKE Drive10679423ArcGIS overheadNo9 / 0listing
79 RIDGEMONT Drive10682918Mapbox overhead1,2,3,7,9,10no0 / 9yeslisting
1362 11TH Avenue10663121Mapbox overhead1,7,10,11,13,16no0 / 9yeslisting
1643 Koocanusa Lake Drive20068707ArcGIS overheadNo9 / 0listing
1265 VALLEY VIEW Place20059379ArcGIS overhead27,29,30,26,28no9 / 0listing
1204 VALLEY VIEW Drive10683952ArcGIS overheadNo9 / 0listing
1206 VALLEY VIEW Drive20022704ArcGIS overheadNo9 / 0listing
1256 Valley View Drive20049830ArcGIS overheadNo9 / 0listing
532 Granzow Road20046554ArcGIS overheadNo9 / 0listing
1668 Tranquility Road20080409Possible Bing overheadNo9 / 0unclearnolisting
862 10TH Avenue10666129Possible elevated5,4,6,1,2unclear0 / 9listing
2202 Black Hawk Drive20034035Possible elevated1unclear8 / 1listing
201 1ST Avenue10675368ArcGIS overhead unavailable29,30,27,28,26no0 / 9listing
2108 WHISKEY JACK Drive10679212Ground context only7,6,3,4,1,5no7 / 2listing
22 COAL CREEK Road10670943ArcGIS overhead unavailable1,2,3,7,9no0 / 9listing
29 RIDGEMONT Drive10676027ArcGIS overhead unavailable28,29,27,30,26no0 / 9listing
6853 ROSEN LAKE E Road10673062ArcGIS overhead unavailable2,6,7,26no0 / 9listing
842 8TH Avenue20022908ArcGIS overhead unavailable2,4,5,6,7,20no0 / 9listing
9 PINE Avenue10667796ArcGIS overhead unavailable2,3,4,5,6,8no0 / 9listing
992 8TH Avenue10666059ArcGIS overhead unavailable1,4,7,8,10,24no0 / 9listing
1 MT PROCTOR Avenue10681651ArcGIS overhead unavailable1,30,2no0 / 9listing
11 PARKLAND Drive10663402ArcGIS overhead unavailable1,2no0 / 9listing
1250 VALLEY VIEW Drive20020438Ground context only1,27,28,29,30no9 / 0listing
1341 1ST Avenue10675686ArcGIS overhead unavailable1,2,3,27,28,29,30no0 / 9listing
1391 10TH Avenue10681443ArcGIS overhead unavailable1,4,5,6,7,8no0 / 9listing
1461 8TH Avenue10670512ArcGIS overhead unavailable23,24,25,26,27no0 / 9listing
15 MT PROCTOR Avenue10681347ArcGIS overhead unavailable1no0 / 9listing
16 CEDAR BOWL Drive10652596ArcGIS overhead unavailable21,22,25,26,27no0 / 9listing
1622 11 Avenue20043865ArcGIS overhead unavailable1no0 / 9listing
2071 Golden Eagle Drive20078352Ground context only1no9 / 0listing
2134 WHISKEY JACK Drive10675001Ground context only1no9 / 0listing
2135 WHISKEY JACK Drive10683923Ground context only1,2no9 / 0listing
2140 WHISKEY JACK Drive10671578Ground context only1no9 / 0listing
2264 BLACK HAWK Drive20021326Ground context only1,16,17no9 / 0listing
23 RIDGEMONT Drive10670868ArcGIS overhead unavailable1,2,3no0 / 9listing
39 ELKVIEW Drive10655082ArcGIS overhead unavailable27,22,24,25,26,1no0 / 9listing
4 MT PROCTOR Avenue10666517ArcGIS overhead unavailable1,2no0 / 9listing
55 RIDGEMONT Avenue10660236ArcGIS overhead unavailable1,30no0 / 9listing
592 9TH Avenue10665347ArcGIS overhead unavailable10,11,13,4,5no0 / 9listing
101 RIDGEMONT Crescent10674172ArcGIS overhead unavailableNo0 / 9listing
11 ALPINE TRAIL Lane10559698ArcGIS overhead unavailableNo0 / 9listing
11 SILVER RIDGE Way10636711ArcGIS overhead unavailableNo0 / 9listing
1110 BEACH Avenue10676037ArcGIS overhead unavailableNo0 / 9listing
1191 11TH Avenue10637598ArcGIS overhead unavailableNo0 / 9listing
1202 4TH Avenue10672499ArcGIS overhead unavailableNo0 / 9listing
123 WHITETAIL Drive10659866ArcGIS overhead unavailableNo0 / 9listing
1251 2ND Avenue10663856ArcGIS overhead unavailableNo0 / 9listing
15 ALPINE TRAIL Crescent10656960ArcGIS overhead unavailableNo0 / 9listing
15 ALPINE TRAILS Crescent10629259ArcGIS overhead unavailableNo0 / 9listing
17 ALPINE Trail10615862ArcGIS overhead unavailableNo0 / 9listing
197 RIDGEMONT Lane10681575ArcGIS overhead unavailableNo0 / 9listing
2 ALLAN GRAHAM Drive10579894ArcGIS overhead unavailableNo0 / 9listing
20 PINE Crescent10644420ArcGIS overhead unavailableNo0 / 9listing
2030 GOLDEN EAGLE Drive20069119Needs aerial reviewno9 / 0listing
2252 Black Hawk Drive20084254Needs aerial reviewNo7 / 2listing
2260 BLACK HAWK Drive10681059Needs aerial reviewNo8 / 1listing
2411 Osprey Court20035045Needs aerial reviewNo7 / 2listing
25 SKIFTY MORRIS Way10599160ArcGIS overhead unavailableNo0 / 9listing
3 Mt Proctor Avenue20073619ArcGIS overhead unavailableNo0 / 9listing
32 SILVER RIDGE Drive10628923ArcGIS overhead unavailableNo0 / 9listing
37 SILVER RIDGE Drive10629333ArcGIS overhead unavailableNo0 / 9listing
43 RIDGEMONT Avenue10673661ArcGIS overhead unavailableNo0 / 9listing
4495 TIMBERLINE Crescent10577345ArcGIS overhead unavailableNo0 / 9listing
4553 TIMBERLINE Crescent10559208ArcGIS overhead unavailableNo0 / 9listing
4556 TIMBERLINE Crescent10545164ArcGIS overhead unavailableNo0 / 9listing
4584 TIMBERLINE Crescent10616755ArcGIS overhead unavailableNo0 / 9listing
46 COAL CREEK Road10622169ArcGIS overhead unavailableNo0 / 9listing
4600 TIMBERLINE Crescent10605182ArcGIS overhead unavailableNo0 / 9listing
501-5258 HIGHLINE Drive10608316ArcGIS overhead unavailableNo0 / 9listing
5401 BOOMERANG Way10561093ArcGIS overhead unavailableNo0 / 9listing
561 6TH Avenue10674370ArcGIS overhead unavailableNo0 / 9listing
562 6TH Avenue20053873ArcGIS overhead unavailableNo0 / 9listing
6659 ROSEN LAKE Road10638277ArcGIS overhead unavailableNo0 / 9listing
701A 4TH Avenue10661891ArcGIS overhead unavailableNo0 / 9listing
761 4TH Avenue20022380ArcGIS overhead unavailableNo0 / 9listing
791 5TH Avenue10636454ArcGIS overhead unavailableNo0 / 9listing
801A 8TH Street10669856ArcGIS overhead unavailableNo0 / 9listing
802 8TH Avenue10614914ArcGIS overhead unavailableNo0 / 9listing
9 ELKVIEW Place10669621ArcGIS overhead unavailableNo0 / 9listing
93 RIDGEMONT Drive10626775ArcGIS overhead unavailableNo0 / 9listing
931 10TH Avenue10303426ArcGIS overhead unavailableNo0 / 9listing
941 11TH Avenue10657168ArcGIS overhead unavailableNo0 / 9listing
962 4TH Avenue10678927ArcGIS overhead unavailableNo0 / 9listing
9841 VICTORIA Street10675594ArcGIS overhead unavailableNo0 / 9listing